Etusivu » Asuminen ja ympäristö » Karkkilan tori
Karkkilan tori
Karkkilan kauppatori tunnetaan vilkkaasta ja mutkattomasta tunnelmastaan – kesäisin Karkkilan tori on erityisen suosittu kohtaamispaikka niin kaupungin asukkaille kuin vierailijoillekin. Torilla järjestetään säännöllisesti markkinoita ja erilaisia tapahtumia, jotka elävöittävät keskustaa ja tarjoavat ainutlaatuisen mahdollisuuden tutustua paikallisiin tuotteisiin, kulttuuriin ja ihmisiin.
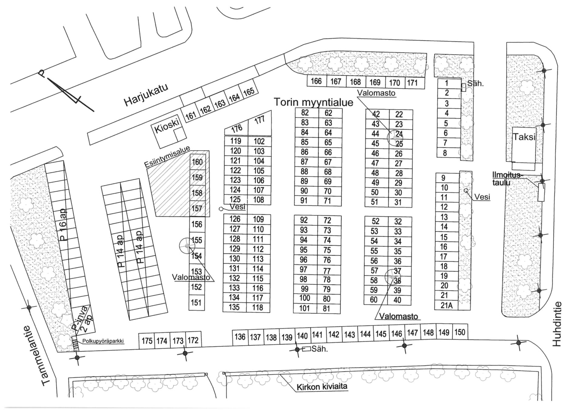
Karkkilan kauppatori sijaitsee kirkon vieressä, Tammelantien, Harjukadun ja Huhdintien välisellä aukiolla, osoite Harjukatu 2-4. Linkki karttapalveluun ohessa.
Torin aukioloajat torimyyntiin
Perjantaitorit
Perjantaisin talviaikana 1.9. – 14.5. tori on avoinna klo 7 – 13.
Perjantaisin kesäaikana 15.5. – 31.8. tori on avoinna klo 7 – 14.
Tiistain kesätorit
Kesäkaudella tiistaisin 15.5. – 31.8. tori on avoinna klo 14 – 19.
Torialue ja toripaikat ovat vuokrattavissa myös toriaikojen ulkopuolella kaupallisiin ja ohjelmallisiin tilaisuuksiin. Tiedustelut Karkkilan kaupunkikehityksen toimialalta, torivalvonnasta.
Autojen parkkeeraus kesäaikana
Pyydämme malttia parkkipaikan etsimiseen vähän kauempaakin kaupungin keskustasta kesäaikana. Esim. Takkointiellä ja kaupungintalon ympäristössä sekä muualla kadun varsilla on hyvin tilaa autojen pysäköimiselle. Torin Osuuspankin puoleinen pääty toimii normaaliin tapaan yleisenä parkkialueena. Koulujen loma-aikoina myös Nyhkälän koulun parkkialue on käytettävissä toriasioinnin aikana.
Torin järjestyssäännöt Karkkilan kaupungin tekninen lautakunta on vahvistanut 23.4.2015 kauppatorin järjestyssäännöt. Järjestyssäännöt ovat voimassa toistaiseksi.
Torin myyntipaikat, taksat ja lisätiedot
Tutustu torin myyntipaikkakarttaan ja kauppatorin myyntipaikkataksoihin Tekninen lautakunta on hyväksynyt taksat 13.11.2013 § 116.
Torivalvontaa suorittaa puistotyöntekijät, yhteystiedot sivun oikeassa reunassa.
Sivustoa päivitetty 17.4.2026 / jn
Tiedotteet
Kompostointitarkastukset alkavat jälleen
Kesäaukion rakennustyöt ovat käynnissä
-
Salonen MirjaMirja Salonen Puistotyöntekijä etunimi.sukunimi@karkkila.fi 044 467 5523 RyhmätYhdyskuntatekniikkaOsoite
-
Laakso JanneJanne Laakso Puistotyöntekijä etunimi.sukunimi@karkkila.fi 044 467 5513 RyhmätYhdyskuntatekniikkaOsoite